
Por Redacción
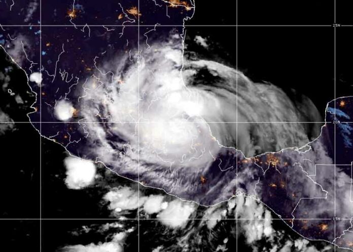
El huracán Grace disminuyó la velocidad de sus vientos y se degradó a categoría 2 en la escala Saffir-Simpson, informó este sábado el Servicio Meteorológico Nacional.
Te puede interesar: ‘Grace’ ocasionaría deslave de casas en Jalpan, alerta geofísico
A través de un comunicado, la dependencia señaló que su centro permanece a 75 kilómetros del suroeste de Tulancingo y a 110 kilómetros al oeste-suroeste de Pachuca, Hidalgo.
Además, informó que a causa del fenómeno, prevalecerán lluvias torrenciales de 150 milímetros en Puebla, Guerrero, Michoacán, San Luis Potosí y Veracruz.
Te puede interesar: Alerta de lluvias torrenciales por ‘Grace’ en sierras Norte y Nororiental
La Conagua dijo que a causa de las lluvias se podrían presentar deslaves, incremento en los caudales de ríos y arroyos, además de desbordamientos e inundaciones en zonas bajas.
Te recomendamos
Con información de Excélsior.




