Daily Archives: mayo 30, 2022
Confirman 21 casos de Viruela del Mono en Nigeria
Las autoridades sanitarias de Nigeria, África, han detectado 21 casos de Viruela del mono en lo que va del año.
De los 21 casos que...
Atlas consigue bicampeonato del futbol mexicano
Atlas cayó 2-1 en el duelo de vuelta ante Pachuca, pero respaldados en un marcador global de 3-2 levantaron de nueva cuenta el título.
FGE vincula a proceso a madre y padrastro por homicidio de bebé
FGE obtuvo la vinculación a proceso de María del Carmen N. y Jaime N., presuntos responsables de los delitos de homicidio.
Huracán ‘Agatha’ pone en alerta a 993 municipios de México
Se activó la alerta en 6 estados del país por el huracán Agatha, particularmente peligroso para el este y sur de Oaxaca.
Morena ganaría 4 de 6 estados en 2022: Mitofsky
De acuerdo con el director de Consulta Mitofsky, Morena usará al presidente y a la 4T como base para impulsarse al triunfo.
Petro gana primera vuelta de elecciones en Colombia; va contra Hernández
Petro tiene el camino difícil pues la segunda vuelta no se enfrentará al derechista Federico Gutiérrez, como estaba previsto.
Habilitan 203 refugios temporales en Oaxaca ante llegada de ‘Agatha’
Las autoridades de Oaxaca habilitaron 203 refugios temporales en el área de Puerto Escondido y Huatulco con capacidad para 26,800 personas.
Vía Recreativa recibe a 5 mil 299 personas y 252 mascotas
Se habilitaron espacios de integración social y fomento para la movilidad no motorizada con la la Vía Recreativa.
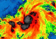
‘Agatha’ se intensifica a huracán categoría 2
La tormenta tropical 'Agatha' pasó a huracán categoría 1 al registrar vientos superiores a los 120 km/h










